




Development Land in Hednesford Road for Sale - £140,000
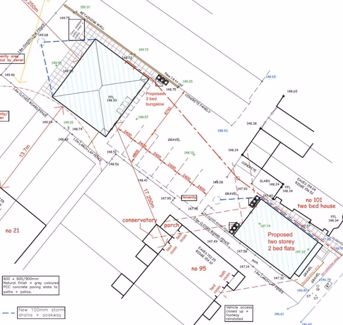
** BUILDING PLOTS ** THREE UNITS ** THREE BEDROOM DETACHED BUNGALOW ** 2 X TWO BEDROOM APARTMENTS ** REAR ACCESS ** DRIVEWAYS ** FULL PLANNING ** FULL DRAWINGS AVAILABLE ** Webbs Estate have pleasure in offering this rare opportunity to purchase a parcel of land with planning consent for...
Development Land in Hednesford Road for Sale - £140,000
Description
** BUILDING PLOTS ** THREE UNITS ** THREE BEDROOM DETACHED BUNGALOW ** 2 X TWO BEDROOM APARTMENTS ** REAR ACCESS ** DRIVEWAYS ** FULL PLANNING ** FULL DRAWINGS AVAILABLE ** Webbs Estate have pleasure in offering this rare opportunity to purchase a parcel of land with planning consent for...
Contact Agent
Smart Picks — Professionals Relevant to This Land
Based on this property's key features, here are the specialists you may want to consult as part of your due diligence: land agents, rural solicitors, planning consultants and land consultants.

Land Agents
Essential for navigating the land market, finding buyers, and securing the best price.

Rural Solicitors
Significant investment (£140K+) requires legal expertise for conveyancing, title checks, and transaction security.

Planning Consultants
Planning-sensitive site needs expert guidance for applications and development strategy.

Land Consultants
Multiple parcels or complex land structure requires expert analysis for optimal development strategy.
Location
Hednesford Road